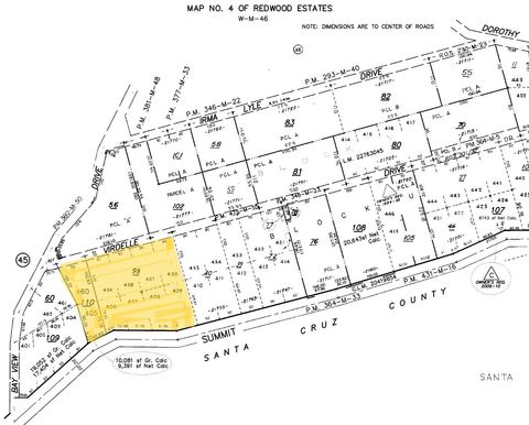
Rare opportunity to purchase 2 adjacent undeveloped lots on Summit Rd, just 1 mile from Hwy 17, 10-12minutes from downtown Los Gatos. 2 APNS totaling over 1.13 acres = 40,000 SF APN 544-48-098 + 9,391 SF APN 544-48-110. List price is for BOTH APNs! Seller prefers to sell the lots together but they may be developed or resold separately. Buyer to investigate possibilities for lot line adjustment. Lots of upside here, there are many high end homes and estates along Summit Rd. This is very usable oak-studded land, with a huge level area off Summit, sloping gently down to Virdelle and adjacent Good Neighbor Park. 260-270 ft frontage on both streets. San Jose Water in the street, PG&E power pole on the property, Comcast available. Septic will be required (no investigations done). Redwood Estates offers the 'Pavilion at Redwood Estates' event venue, USPS Post Office, Redwood Store, popular Pizzeria Vittoria (formerly Nonnos), 2 community parks, swimming pool, and Redwood Fire Station. Redwood Estates is a Firewise USA Community. Award winning Los Gatos schools - Lexington Elementary, Fisher Middle, Los Gatos High! Lexington Elementary is the only school in the LGUSD offering the International Baccalaureate Primary Years & Early Years TK programs.
|
LAST UPDATED
|
12/18/2025
|
YEAR BUILT
|
0
|
|
COUNTY
|
Santa Clara
|
STATUS
|
Pending
|
|
PROPERTY TYPE(S)
|
Lot/Land/Acreage
|
|
|
| Elementary School |
Lexington Elementary |
| Jr. High School |
Raymond J. Fisher Middle |
| High School |
Los Gatos High |
| LOT |
1.1339 acre(s) |
| LOT DESCRIPTION |
Gentle Sloping |
| LOT DIMENSIONS |
49391.00 |
| SEWER |
Other |
| UTILITIES |
Electricity Available |
| VIEW |
Yes |
| VIEW DESCRIPTION |
Forest |
| WATER |
Public |
| ZONING |
HS-SR |
Listed by Rebecca Smith | 408-507-7165, Christie's International Real Estate Sereno
The data relating to real estate for sale on this website comes in part from the Internet Data Exchange program of the MLSListings™ MLS system. All real estate listings in the MLSListings MLS system are marked with the MLSListings Internet Data Exchange icon (a stylized house inside a circle), and detailed information about them includes the names of the listing brokers and listing agents.
Based on information from MLSListings MLS as of 12/20/25 3:37 AM PST. All data, including all measurements and calculations of area, is obtained from various sources and has not been, and will not be, verified by broker or MLS. All information should be independently reviewed and verified for accuracy. Properties may or may not be listed by the office/agent presenting the information.
Copyright 2025 MLSListings Inc. All rights reserved.
This IDX solution is (c) Diverse Solutions 2025.
We respect your online privacy and will never spam you. By submitting this form with your telephone number
you are consenting for Stanley
Lo to contact you even if your name is on a Federal or State
"Do not call List".
Save favorite listings, searches, and get the latest alerts
Save your favorite listings, searches, and receive the latest listing alerts